Proiectul Farmec de relocare pe 5 hectare la ieșirea din Cluj a fost respins: AVIZ NEFAVORABIL!/ Arhitectul-șef: „Proiect NEPROFESIONIST. E foarte trist”
Citește și
Farmec vrea să ridice clădiri URIAȘE la ieșirea din Cluj, aproape duble față de cele din zonă. Cere MODIFICAREA REGULILOR de înălțime! - Ştiri de Cluj
Proiectul Farmec de relocare pe 5 hectare, respins de autorități: AVIZ NEFAVORABIL
Planul de mutare a activității companiei Farmec, cel mai important producător de cosmetice din România, din Cluj-Napoca în localitatea Dezmir, a primit un "aviz nefavorabil" în cadrul ședinței Comisiei Tehnice de Amenajare a Teritoriului și Urbanism (CTATU) de joi, 30 ianuarie 2025 a Consiliului Județean Cluj.
Motivul respingerii proiectului
Compania Farmec intenționa să mute producția din zona semicentrală a Clujului într-un nou spațiu de peste cinci hectare în Dezmir, situat la câțiva kilometri de oraș. Proiectul a fost prezentat de arhitecții de la biroul Olimpus Evolution, dar nu a primit susținerea arhitectului-șef al județului, Claudiu Salanța. Acesta a solicitat clarificări privind avizul Inspectoratului pentru Situații de Urgență (ISU) Cluj, deoarece în apropierea terenului vizat se află rezervoare de combustibili aparținând companiei Petrom.
Unul dintre proiectanți a menționat că a primit o „negație" de la ISU, ceea ce ar indica faptul că, în această etapă de elaborare a Planului Urbanistic Zonal (PUZ), nu ar fi necesar avizul. Totuși, arhitectul șef Claudiu Salanța a fost ferm și a spus că Direcția de Urbanism a primit o informare de la ISU conform căreia acest aviz este, de fapt, OBLIGATORIU.
Mai mult, discuțiile din cadrul comisiei au fost blocate de arhitectul-șef al județului Cluj, Claudiu Salanță, care a atras atenția asupra unei probleme grave de legalitate. El a dezvăluit că documentația urbanistică a fost întocmită de un specialist fără competențele necesare pentru acest tip de proiect.
„Avem o problemă de legalitate, care poate vicia procesul de avizare și nu știu dacă merită să continuăm. Elaboratorul figurează în documentație domnul Adrian Ilie, care este specialist atestat de către RUR domeniul DZ1, asta apare pe ștampilă.
Conform prevederilor regulamentului Consiliului Superior nr. 101 cu modificările ulterioare, specialistul cu dreptul de semnătură DZ1 poate să elaboreze planuri urbanistice zonale și regulamente locale de urbanism aferente unor parcelări de locuințe și funcțiuni asociate locuințelor.
Or, aici discutăm de o zonă industrială și în consecință, specialistul RUR nu poate să întocmească asemenea documentație. Dacă mergem mai departe, sub coordonarea acestui specialist RUR, procesul de avizare ar fi viciat și nu se poate susține un asemenea proiect”, a susținut Claudiu Salanță, arhitect-șef al județului Cluj.
Citește și
Farmec vrea să ridice clădiri URIAȘE la ieșirea din Cluj, aproape duble față de cele din zonă. Cere MODIFICAREA REGULILOR de înălțime! - Ştiri de Cluj
Propunerea lui Alin Tișe pentru proiectul FARMEC și rezultatul votului
Președintele Consiliului Județean Cluj, Alin Tișe, a susținut acordarea unui „aviz favorabil" proiectului, argumentând că investiția este benefică pentru o companie românească de prestigiu. Dar arhitectul-șef nu s-a lăsat convins.
„Din păcate pentru investitor, la modul în care s-a prezentat acest proiect absolut neprofesionist nu pot să îmi asum un aviz favorabil cu două voturi împotrivă. (...) Dar la cum s-a prezentat acest proiect este foarte trist, ca să nu zic mai mult de atât”, a afirmat arhitectul șef Claudiu Salanță.
Votul în comisie a fost unul negativ, dar președintele CJ Cluj Alin Tișe i-a rugat pe proiectanți să îmbunătățească proiectul, având toată deschiderea.
„Domnule arhitect, rugămintea mea este să încercați să îmbunătățiți acest proiect. Eu am toată deschiderea, și cu toții o avem, să ajutăm beneficiarul să își realizeze această fabrică. Rugămintea mea este, urmare a discuțiilor pe care le-ați auzit în această comisie, să reluați și să îmbunătățiți acest proiect. Din păcate, nu a fost votat, aș fi vrut să fie un aviz favorabil, dar acesta este votul”, a spus Alin Tișe.
Directorul general al Farmec nu va schimba proiectul criticat de Claudiu Salanță
Contactat de reporterii Știri de Cluj, Mircea Turdean, directorul general al Farmec și unul dintre acționarii fabricii, a transmis că nu intenționează să modifice proiectul, în ciuda faptului că a fost criticat de arhitectul șef al Clujului, Claudiu Salanță. Directorul general al Farmec a relatat că va întreprinde acțiunile necesare pentru obținerea avizului din partea ISU.
În plus, Turdean a menționat că a fost rezolvată problema de legalitate semnalată de Claudiu Salanță, respectiv că documentația urbanistică a fost întocmită de un specialist fără competențele necesare pentru acest tip de proiect, iar arhitectul a fost schimbat.
„Nu, trebuie să mai luăm un aviz suplimentar din partea ISU Cluj. Odată luat acel aviz suplimentar se va dezbate din nou proiectul, fără alte modificări.
A fost o chestiune mai aiurea că arhitectul respectiv nu avea calificarea pentru proiecte speciale, dar s-a schimbat arhitectul, s-a pus o persoană care îndeplinește cerințele necesare pentru dezvoltarea industrială și s-a rezolvat problema.”, a declarat Mircea Turdean, directorul general al Farmec, pentru Știri de Cluj.
Detalii despre noul sediu al Farmec
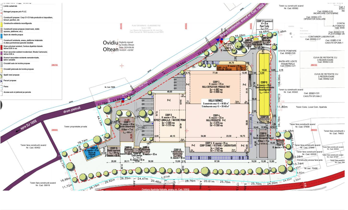
Noua unitate de producție urmează să fie construită în Dezmir, comuna Apahida, și presupune o investiție de aproximativ 40 de milioane de euro.
Suprafața totală: 53.336 mp
Număr estimat de angajați: 104

Fabrica va include mai multe clădiri destinate producției, depozitării și administrației, precum și infrastructura necesară pentru transport și accesibilitate: drumuri carosabile, trotuare pietonale, piste pentru biciclete și spații verzi.
Structura amplasamentului
Potrivit documentației tehnice, proiectul cuprinde următoarele clădiri și facilități:
Clădire administrativă cu birouri
Hală de depozitare pentru produse finite
Depozit pentru ambalaje și materie primă
Hală de producție
Laboratoare și vestiare
Secții pentru producția de lacuri, detartranți și decapanți
Stație de epurare, bazin de retenție și rezervoare
Parcare supraterană și spații verzi
Localizare și vecinătăți
Fabrica este planificată să fie construită pe strada Cantonului, la vest de comuna Apahida, având următoarele delimitări:
Nord: Strada Cantonului, proprietăți publice
Est: Terenuri private fără construcții
Vest: Terenuri private cu construcții
Sud: Centura Apahida-Vâlcele

Impactul proiectului
Potrivit Farmec, relocarea este justificată prin poziția avantajoasă a noii incinte față de zonele locuite din Dezmir și proximitatea față de zona industrială a municipiului Cluj-Napoca.
„Evoluția în timp a amplasamentului este destul de dinamică și este legată de relația cu strada Cantonului, ieșire importantă a Clujului, precum și apropierea de nodul rutier al Centurii Apahida-Vâlcele", se precizează în documentație.
Pentru a putea avansa cu proiectul, Farmec va trebui să revină cu un plan revizuit și avizat de Inspectoratul pentru Situații de Urgență Cluj. De asemenea, sunt necesare adaptări ale planului urbanistic pentru a respecta reglementările impuse de autorități.
Știri de Cluj a prezentat cazul de la Farmec, în urmă cu câteva zile, prin care semnalam că Farmec vrea să ridice clădiri peste regimul de înalțime actual. Și în loc de hale de 15 metri, cere aviz pentru hale cu înălțime de 25 de metri.
Farmec vrea să ridice clădiri URIAȘE la ieșirea din Cluj, aproape duble față de cele din zonă. Cere MODIFICAREA REGULILOR de înălțime! - Ştiri de Cluj
La acel moment, directorul Farmec Mircea Turdean a declarat pentru Știri de Cluj:
„Imaginați-vă că la Farmec, unde suntem acum pe sediul vechi, avem o clădire administrativă de P+6E. E vorba de a muta tot ce înseamnă platforma industrială Farmec din oraș în afara orașului. Vă rog să țineți cont că aici avem 4 hectare și clădiri inclusiv de 7 niveluri. E mai bine să fie în mijlocul orașului o zonă industrială? Zona respectivă e o zonă industrială. Acolo sunt firme de gaz, de construcții, așa este clasificată zona respectivă.
Avem terenul respectiv în proprietate de vreo 50 de ani, nu am cumpărat terenul la începutul anului. Când am luat noi terenul respectiv, nu era nimeni acolo.
Acele case de la periferie nu au autorizație, tocmai în contextul în care noi avem acolo terenul de 50 de ani și este o zonă industrială. Cu privire la regimul de înălțime, am luat legătura cu Asociația Aeronautică. Ei sunt în măsură să aprobe sau nu regimul de înălțime. Am făcut un studiu prin care s-a dovedit că singura construcție, blocul administrativ, este făcut la vale, nu la deal și fiind făcut pe marginea apei, în zona cea mai joasă delimitată acolo, făcându-se măsurători la nivelul înălțimii ni s-a dat aprobare de la Asociația Aeronautică că ne încadrăm în înălțimea respectivă de la coline. Avem măsurători, studiu și aprobare de la Asociația Aeronautică. Aceste documente sunt anexate în cererea de obținere a PUZ-ului.”, a declarat Mircea Turdean pentru Știri de Cluj.
7 Comentarii