Farmec SA, cel mai mare producător de cosmetice din România, își va reloca activitatea din Mărăști, Cluj-Napoca, în localitatea Dezmir, comuna Apahida. Proiectul promite o platformă industrială modernă, dar planurile de clădiri mult mai înalte decât cele din zonă stârnesc îngrijorare. Mutarea implică construirea unor clădiri de până la cinci etaje, dar care au o înalțime de 25 metri, față de 15 metri cât este în prezent înălțimea maximă admisă. Adică, înălțimea este a unui bloc de 7-8 etaje.
„Intentia SC FARMEC SA este de a dezvolta zona industrială existentă prin păstrarea parțială a coeficienților urbanistici ai UTR – IDe1 și IDp1 cum ar fi POT și CUT și extinderea regimului de înălțime de la S+P+E+M la S+P+5E și a Hmax de la 15 m la 25 m”, se arată în documentația oficială.
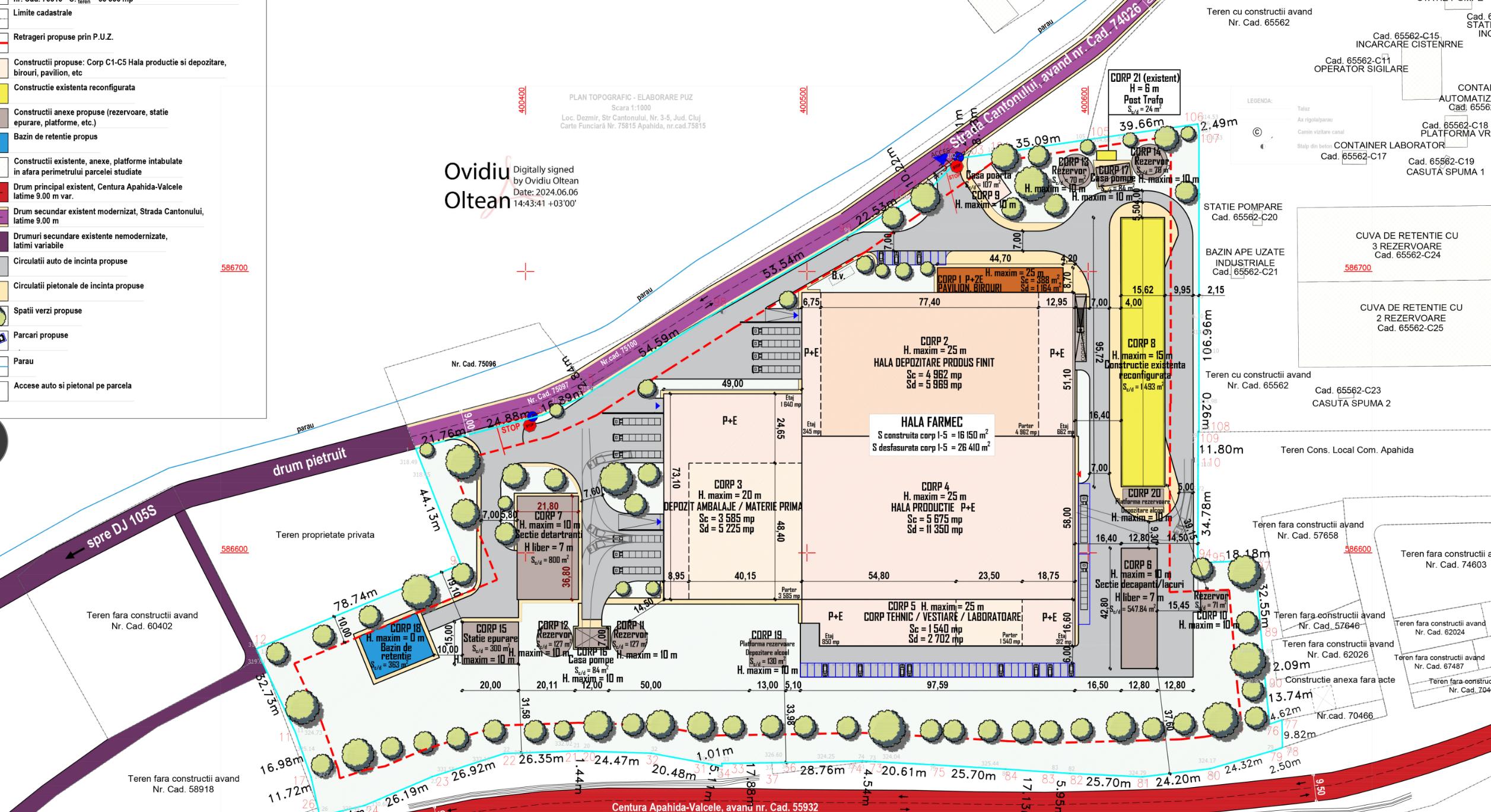
Mai exact, Farmec dorește să ridice:
1. Corp 1: Pavilion Birouri, înălțime max 25 metri
2. Corp 2: Hală depozit produs finit- înălțime max 25 metri
3. Corp 3 Hală depozit ambalaje- înălțime max 20 metri
4. Corp 4: Hală producție- înălțime max 25 metri
5. Corp tehnic vestiare/laboratoare- înălțime max 25 metri
Cei de la Farmec susțin că proiectul presupune doar „mici corecții urbanistice”:
„Oportunitatea investiţiei este justificată de necesitatea punerii în valoare a incintei conform necesitătilor actuale ale SC FARMEC SA. Avantajul major rezidă din păstrarea funcțiunii existente a platformei industriale aplicând doar mici corectii urbanistice, obligatorii pentru fluxul de productie al beneficiarului”.


Proiectul, ce va fi discutat pe 30 ianuarie 2025 în cadrul ședinței Comisiei Tehnice de Amenajare a Teritoriului și Urbanism (CTATU) a Consiliului Județean Cluj, prevede realizarea unui complex industrial pe o suprafață de 53.336 mp, situată pe Strada Cantonului nr. 3-5, Dezmir. Complexul include clădiri administrative, hale de producție și depozitare, anexe tehnice și infrastructură specifică unei platforme industriale.
Principala nemulțumire vizează:
- Regimul de înălțime propus: Clădiri de până la cinci etaje (25 m), într-o zonă unde construcțiile sunt S+P+E+M, iar regimul maxim de înălțime este de 15 metri .
Detalii tehnice și impact asupra mediului
Proiectul prevede demolarea clădirilor existente pe amplasament și construirea unui complex industrial modern, reglementat printr-un nou UTR (unitate teritorială de referință) denumit IDe1*. Acesta va permite un procent maxim de ocupare a terenului (POT) de 70% și un coeficient de utilizare a terenului (CUT) de 1,0.
„Lucrările de amenajare a complexului industrial de productie a FARMEC SA se vor realiza prin initierea unei demolari generale a majoritatii cladirilor supraterane existente, făcând exceptie C10 si C21, clădiri reabilitate și utilizate si in prezent. Se propune extinderea retelelor de incinta existente, precum si a drumurilor de incinta, infrastructura edilitara existenta avand o vechime de peste 40 de ani”, se arată în documentație.

Oportunitate sau amenințare?
Deși Farmec susține că proiectul va contribui la modernizarea activităților sale și la crearea de locuri de muncă, criticii argumentează că beneficiile economice nu justifică transformarea radicală a zonei. Nu este contestată mutarea fabricii în zonă, ci intenția de a construi clădiri mult mai înalte decât cele care există în zonă. În felul ăsta, ceea s-a întâmplat de-a lungul ultimilor 30 de ani în Florești, s-ar putea transfera și în Apahida, și să fie începutul blocurilor de 8-10 etaje.
PUZ-ul va fi analizat în ședința CTATU pe 30 ianuarie 2025. În funcție de decizia autorităților, proiectul ar putea intra în faza de implementare sau ar putea necesita revizuiri semnificative.
Noua platformă industrială Farmec va fi amplasată pe un teren de 53.336 mp, situat pe Strada Cantonului nr. 3-5, Dezmir. Conform memoriului întocmit în mai 2024, proiectul presupune:


16 Comentarii