Milionarii Căpușan vor să înghesuie alte clădiri lângă Bonjour Residence. Dispare parcarea și o zonă verde - FOTO
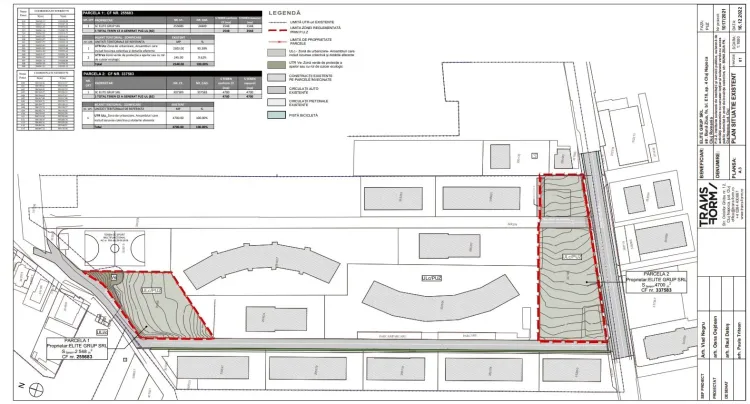
Familia de milionari Căpușan, care a ridicat blocurile Bonjour Residence din Bună Ziua, considerate oricum prea înghesuite, vine acum cu noi propuneri de clădiri pe terenul de acolo. Este vorba de un teren unde este parcarea de pe strada Bună Ziua și în capătul terenului pe care sunt blocurile, unde este un spațiu verde.

Capul familiei, Chimu Căpușan, vrea să investească 7,5 milioane euro. Pe marginea străzii Bună Ziua (drumul principal), unde e acum o parcare, se vor ridica două clădiri. Una va avea două niveluri de subsol, demisol, parter și patru etaje (birouri). Parcările vor fi la subsol. În cea de-a doua clădire va fi o clinică privată.
Pe parcela de lângă strada W. A. Mozart este propusă o creșă publică.
Toate imobilele vor avea acoperișuri înierbate, iar pe acoperișul clinicii medicale va fi o terasă de alimentație publică, deci tot o chestiune comercială, nimic pentru comunitate. Vor fi create 131 de locuri de parcare auto, care vor fi folosite de cei care frecventează spațiile private.
Fără nicio obiecție, Comisia de Urbanism a Primăriei Cluj-Napoca a aprobat proiectul.
Viceprimarul Dan tarcea a fost impresionat de proiectul propus de firma Elite Grup, spunând că din poze totul arată bine.


35 Comentarii