Un nou ansamblu turistic și de agrement se va construi în Cluj-Napoca, pe drumul Sfântul Ioan. Vor fi 8 vile, piscină, terenuri de sport
Consiliul Local va analiza în ședința de marți, 20 ianuarie, aprobarea Planului Urbanistic Zonal (P.U.Z.) privind „Dezvoltarea facilităților dedicate agrementului pentru public, Drumul Sfantul Ion”.
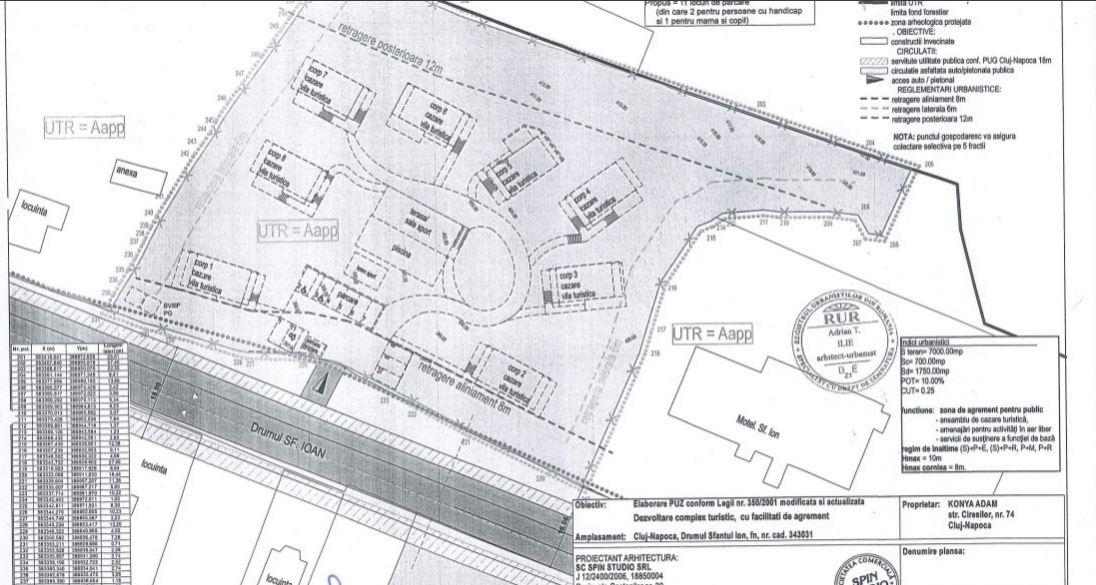
Este vorba de un proiect realizat pe un teren privat, care se dorește a se construi în vecinătatea Pensiunii Făget Izvor.

Prin P.U.Z. se propune construirea unui ansamblu turistic. Conform documentației, ansamblul va cuprinde 8 vile turistice, amenajări pentru activități în aer liber, precum terenuri de sport, platforme multifuncționale, piscină, alei pietonale, parcaje și edicule, toate integrate într-un concept peisager unitar. Regimul de construire va fi deschis, cu un impact redus asupra mediului înconjurător.
Clădirile vor avea un regim de înălțime redus, de maximum două niveluri supraterane. Configurațiile admise sunt (S)+P+E, (S)+P+R, P+M sau P+R, cu o înălțime maximă la cornișă de 8 metri și o înălțime totală de cel mult 10 metri. Indicatorii urbanistici prevăd un POT maxim de 10% și un CUT maxim de 0,25, ceea ce subliniază caracterul aerisit al dezvoltării.
Retragerile față de aliniament vor fi de minimum 8 metri, iar față de limitele laterale și posterioare ale parcelei de minimum 6 metri, respectiv 12 metri. Pe aceeași parcelă vor fi permise maximum opt corpuri de cazare, amplasate la o distanță minimă egală cu înălțimea clădirii celei mai înalte, dar nu mai puțin de 6 metri. Acestea vor fi grupate în jurul unor spații comune de agrement, precum zone verzi, piscine sau platforme pentru activități sportive și recreative.

Accesul în complex se va realiza din circulația publică – drumul Sfântul Ion, iar în interiorul parcelei sunt recomandate alei pietonale și carosabile cu învelitori permeabile, pentru o mai bună integrare în peisaj. Parcajele vor fi amenajate la sol, în interiorul parcelei, în zona adiacentă aliniamentului, pe o adâncime de maximum 15 metri, conform normelor urbanistice în vigoare.
În ceea ce privește echiparea tehnico-edilitară, racordarea la rețelele publice existente este obligatorie. În lipsa canalizării publice, apele uzate vor fi epurate prin sisteme individuale, iar apele pluviale vor fi gestionate prin sisteme de acumulare sau retenție, fără a fi direcționate către domeniul public sau parcelele vecine. Totodată, cablurile aeriene vor fi interzise, iar fiecare parcelă va dispune de spații dedicate colectării deșeurilor menajere, accesibile din domeniul public.
Proiectul se va realiza pe terenul privat deținut de Konya Adam și își propune să ofere o destinație modernă de relaxare și turism, cu accent pe activități în aer liber, sustenabilitate și integrare armonioasă în mediul natural.
2 Comentarii